Doctor's Consultation page
Owner name :
Abhi Krishnan R
Date & Mode:
Cattle
ALLERGIC
click to view
VMR: 32230003248054
Breed: Badri
Age: 5 years 9 mons 19 days Sex : Female
Color: Brindle, Brown Color
Pet Name: Gomati

OP No. 202311280000003
PRINT CASE SHEET PRINT PRESCRIPTION Follow-Up Required?Next Follow-Up: 30-Dec-2023
Enter details here
Vitals Owner's complaint Anamnesis Examination Laboratory Investigation Images / Videos Diagnosis & Prognosis Treatment Result SAVE DETAILS
Owner’s complaint
Entered Details
PRESCRIPTION LAB SLIP
Vital Parameters
Owner's Complaint : Animal got hit by a lorry near peroorkada junction, bleeding from legs
Purpose of Visit: Treatment | Animal present : YES | Emergency : YES | Accident : YESGeen Indicates normal range | Red indicates abnormal
Time | Temperature oC 37.8 - 39.3 |
Pulse Rate(beats/min) 60 - 90 |
Heart Rate (beats/min) 60 - 90 |
Rate of respiration 25 - 30 |
Visible Mucous Membrane -- |
Weight (kg) varies |
|
---|---|---|---|---|---|---|---|
Variation curve | |||||||
10-02-2022 4:00 PM | 37.5 | 92 | 93 | 27 | pink | 3 | 350 |
10-02-2022 12:00 PM | 40 | 100 | 100 | 31 | Congested | 4 | |
10-02-2022 9:00 AM | 41 | 110 | 112 | 35 | Congested | 5 |
Anamnesis
Past history
Prior Treatment/Surgery history : operation on same leg 2 years ago
Examination
Doctor's Observation
Prior Treatment/Surgery history : operation on same leg 2 years ago
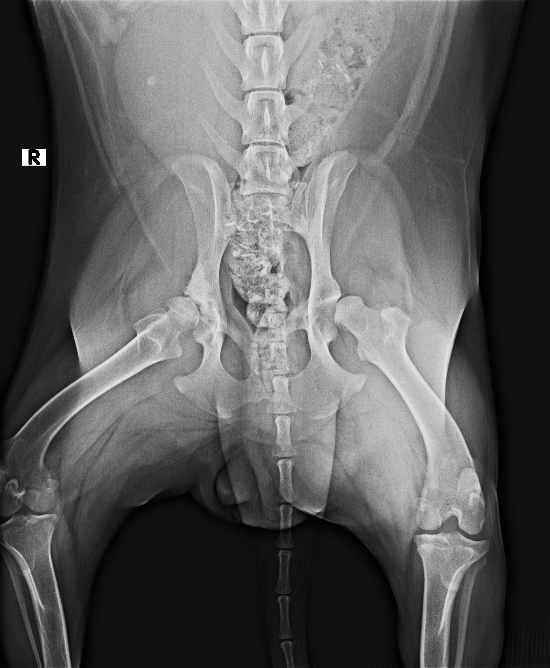
Images / Radiology
X-RAY
Date | 12-06-2022 | Radiologist | Name of radiologist |
Description Lorem Ipsum is simply dummy text of the printing and typesetting industry. Lorem Ipsum has been the industry's stan |
|||
Observation Lorem Ipsum is simply dummy text of the printing and typesetting industry. Lorem Ipsum has been the industry's stan |
|||
Lab Name | DDRC SRL | Technician | Name of tech |
CT-SCAN
Date | 12-06-2022 | Radiologist | Name of radiologist |
Description Lorem Ipsum is simply dummy text of the printing and typesetting industry. Lorem Ipsum has been the industry's stan |
|||
Observation Lorem Ipsum is simply dummy text of the printing and typesetting industry. Lorem Ipsum has been the industry's stan |
|||
Lab Name | DDRC SRL | Technician | Name of tech |
ULTRASOUND
Date | 12-06-2022 | Radiologist | Name of radiologist |
Description Lorem Ipsum is simply dummy text of the printing and typesetting industry. Lorem Ipsum has been the industry's stan |
|||
Observation Lorem Ipsum is simply dummy text of the printing and typesetting industry. Lorem Ipsum has been the industry's stan |
|||
Lab Name | DDRC SRL | Technician | Name of tech |